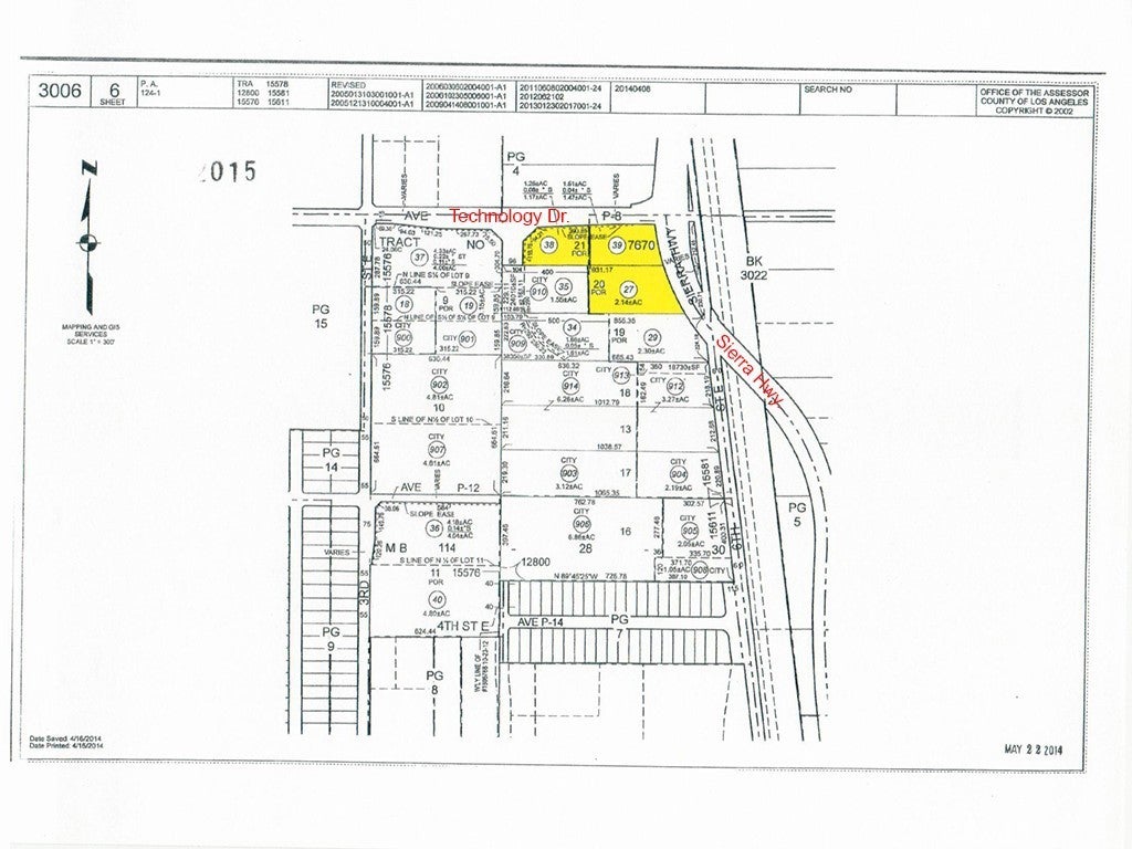
About Ave P8/sierra Highway
1.27+/-Acre SW Corner paved Ave. P-8 (Technology Drive) Transportation Centre Dr., Zoning is Plan Development Industrial property (PDM1) All utilities in the Street. It is just across the street from Palmdale's new transportation center. Fwy. 14 just 1/2 mile to the west. Trade & Commerce Center just west of Fwy. 14. Winnell Industrial center 300' north of the subject property. The Palmdale Air Terminal is just 3.5 miles to the east. Palmdale carries the nickname of "aerospace capital of the United States", which has been the home for research, development, and testing of several important aircraft. Palmdale is home to Lockheed Martin, Boeing, NASA, Northrup Grumman, and Air Force Plant 42. Several other manufacturing users have relocated to Palmdale seeking cheaper land alternatives to Los Angeles as well as to take advantage of various tax incentives. This movement, along with the continued growth of the residential population solidifies Palmdale as an attractive long-term investment. You may google the following GPS coordinates to locate the property: 34.594228 -118.122492
Features of Ave P8/sierra Highway
| MLS® # | SR23158074 |
|---|---|
| Price | $349,999 |
| Bathrooms | 0.00 |
| Acres | 1.27 |
| Type | Land |
| Status | Active |
Community Information
| Address | Ave P8/sierra Highway |
|---|---|
| Area | PLM - Palmdale |
| City | Palmdale |
| County | Los Angeles |
| Zip Code | 93550 |
Amenities
| View | Neighborhood |
|---|---|
| Is Waterfront | No |
| Has Pool | No |
Interior
| Has Basement | No |
|---|---|
| Fireplace | No |
Exterior
| Lot Description | Level, Street Level, Value In Land, Irregular Lot, Lot Over 40000 Sqft |
|---|
Additional Information
| Date Listed | August 23rd, 2023 |
|---|---|
| Days on Market | 769 |
| Zoning | PDM1 |
| Foreclosure | No |
| Short Sale | No |
| RE / Bank Owned | No |
Listing Details
| Agent | Richard Khatibi |
|---|---|
| Office | Rich Estate Props |
