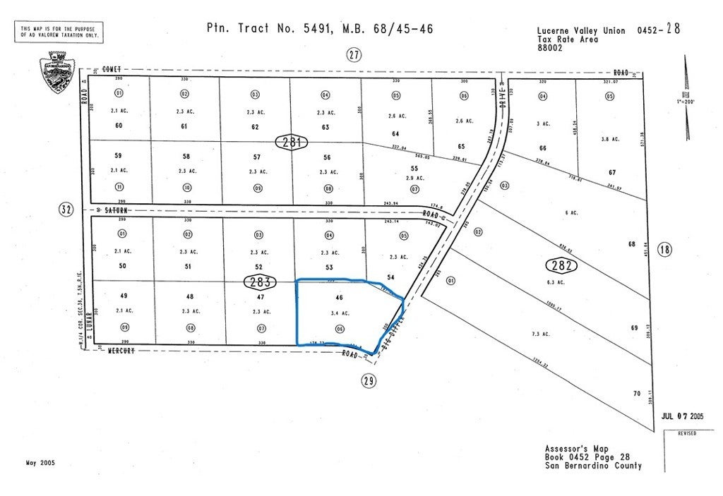
About 28306 Mercury Lane
VIEW LOT. Located at the northwest corner of Mercury Lane and Big Dipper Drive, this 3.4-acre corner lot is accessible from both roads. It features panoramic views to the east of Coyote Buttes, to the south and west of Lucerne Valley, and the north face of the San Bernardino Mountains, presenting an ideal spot for either a vacation home or a permanent dwelling with ample space. Routes north and east or south and east on Big Dipper lead to the Johnson Valley OHV recreational area. Historically, this locale has served as a popular backdrop for film and television, with recent productions including scenes from the movie "Valkyrie", chosen for its resemblance to North African landscapes. At an elevation of 3000 feet, the lot offers cleaner air and starlit nights away from urban light pollution. The RL (rural living) zoning allows for diverse uses: ranging from Agricultural to Composting/Recycling, Recreational/Education/Public Assembly, Residential, Retail, General Services, Transportation/Communications, to Temporary Special Events. The potential uses are as limitless as one's imagination. *No street address has been assigned by the county. The mentioned address corresponds to the APN.*
Features of 28306 Mercury Lane
| MLS® # | OC24239505 |
|---|---|
| Price | $31,888 |
| Bathrooms | 0.00 |
| Acres | 3.40 |
| Type | Land |
| Status | Active |
Community Information
| Address | 28306 Mercury Lane |
|---|---|
| Area | LUV - Lucerne Valley |
| City | Lucerne Valley |
| County | San Bernardino |
| Zip Code | 92356 |
Amenities
| Utilities | None, Water Not Available |
|---|---|
| View | Mountain(s), Panoramic, Valley |
| Is Waterfront | No |
| Has Pool | No |
Interior
| Has Basement | No |
|---|---|
| Fireplace | No |
Exterior
| Lot Description | Lot Over 40000 Sqft, Corner Lot, Gentle Sloping, Irregular Lot |
|---|
Additional Information
| Date Listed | November 23rd, 2024 |
|---|---|
| Days on Market | 340 |
| Zoning | LV/RL-5 |
| Foreclosure | No |
| Short Sale | No |
| RE / Bank Owned | No |
Listing Details
| Agent | Gregg Cochran |
|---|---|
| Office | SmokeTree Commercial |
