Avenue N-8, Palmdale

$20,000

Previous Next

2.56

Acres

About Avenue N-8

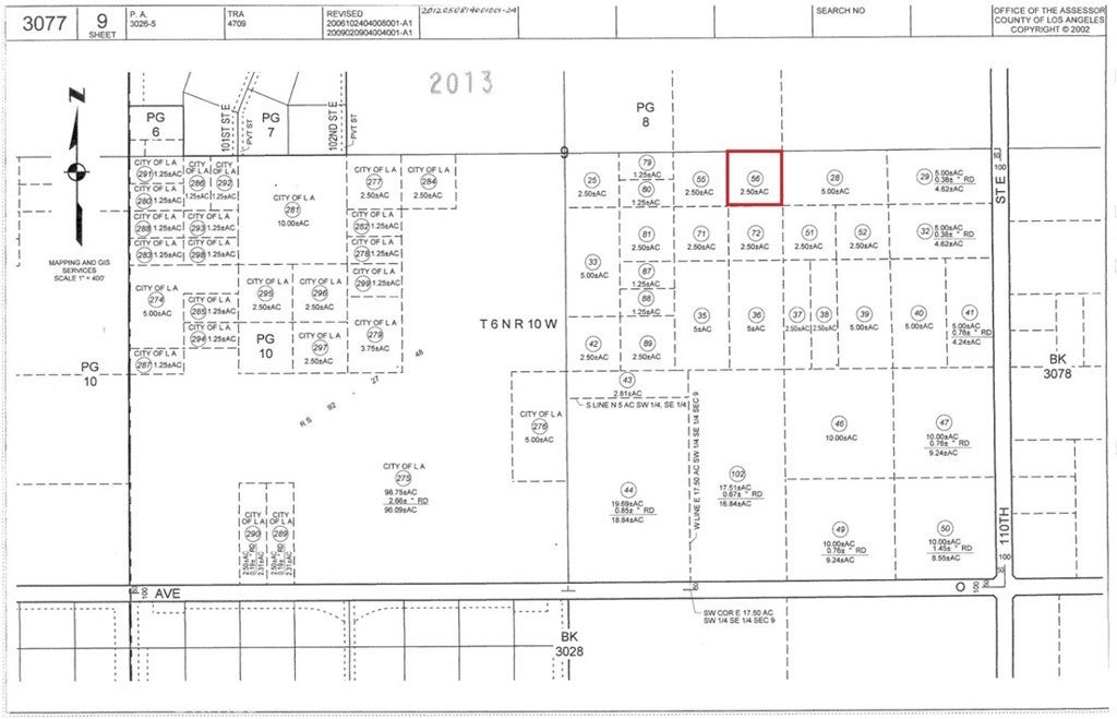
APN: 3077-009-056 Coordinates: 34.624000, -117.938972 2.56 acres for sale in LA County. This lot is located one Ave N-8 and 105th St E in Palmdale, CA. Zoning is PDA2, per county records.

Features of Avenue N-8

MLS® # IV25109916
Price $20,000
Bathrooms 0.00
Acres 2.56
Type Land
Status Active

Community Information

Address Avenue N-8
Area PLM - Palmdale
City Palmdale
County Los Angeles
Zip Code 93591

Amenities

Utilities Water Not Available
View Desert, Hills
Is Waterfront No
Has Pool No

Interior

Has Basement No
Fireplace No

Exterior

Lot Description Agricultural

Additional Information

Date Listed May 16th, 2025
Days on Market 168
Zoning PDA2*
Foreclosure No
Short Sale No
RE / Bank Owned No

Listing Details

AgentNydia Del Rio
OfficeHOME & LAND SOURCE

Listing Map

Request a Showing

Provide a valid email address.
When would you like to view this property?